Obce na Volyni
Hrušvice

První osídlenci Hrušvice - zleva švec, krejčí, kovář, hostinský, truhlář

Podíl čs. obyvatelstva Samostatná ..
Újezd Rovno
Mapová síť F10 Ukázat na mapě
Rok založení 1870
Max. počet čs. obyvatelstva 834 v l. 1887–1914
Kulturní stavby
Hasičská zbrojnice (1)

Související archiválie

Hasičská zbrojnice
Hasičská zbrojnice vystavena 1931 foto z r. 2011, Rok: 1931, Zdroj: Čajanová L., Inventární číslo: IV000078

Hasičská zbrojnice vystavena 1931 foto z r. 2011

Rok: 1931
Zdroj: Čajanová L.
Inventární číslo: IV000078

Kulturní dům
Škola
Církevní stavby
Katolický kostel nebo kaple (33)

V roce 1930 uplynulo 60 let od příchodu Čechů na Volyň. Carská vláda, která chtěla (konvertovat) na pravoslavné víry na Volyni, po dohodě s tehdejší rakouskou vládou přivedla Čechy na Volyň a prodala jim polskou půdu za nízké ceny. Když sem ale Češi dorazili, čekali, až je vezmou pod křídla pravoslavné církve. poté, co Češi zaplatili zálohu na pozemcích, došlo k „oznámení“, že po schválení zákona o koupi budou Češi začleněni do pravoslavné církve a v případě odmítnutí propadnou a neochotný by byl nucen opustit Rusko. Na druhé straně byly hromy blesků na katolické kněze, bylo zakázáno křtít české děti bez svolení hejtmana. Katolická Češka měla zakázáno komunikovat s katolickým knězem. Církve byly uzavřeny a přeměněny na pravoslavné církve, jako například Warkowiczach (1832) a Hulcza, s cílem bránit pastorační práci katolických kněží mezi Čechy. Nebylo snadné vyrvat víru mých předků najednou. Carská vláda tehdy měla jinou představu. Tři neznámá doznání farářů, prohlašujících se za katolické kněze, byla přivezena z České republiky. Jmenují se: Kaszpar, Saska a Hędliczka. Naplnili pohár hořkosti. Češi si byli jisti, že jsou katolickými kněžími, zcela se odevzdali jejich ochraně, (...)

Související archiválie

.pdf
Hrušvický katolický kostel

Zdroj: Archiv Ludmily Čajanové
Inventární číslo: IV015226

seznam dárců na zvon
Občané Hrušvice a přilehlých farností přispěli na pořízení zvonu svého nového kostela celkem 908 zlotych. Sbírka sečtena 1.1.1938, Rok: 1938, Zdroj: Čajanová Ludmila, Inventární číslo: IV007701, více informací

Občané Hrušvice a přilehlých farností přispěli na pořízení zvonu svého nového kostela celkem 908 zlotych. Sbírka sečtena 1.1.1938

(více informací)

Rok: 1938
Zdroj: Čajanová Ludmila
Inventární číslo: IV007701
Související obce: Dědkovice, Dembrovka, Janovka Č., Martinovka, Novosilky (Rovno), Peredily, Ploska (Rovno), Špakov Malý, Špakov Velký, Slezské Rudoltice
Související osoby: Bačová Ludmila, Stanislav, Čajanová

seznam dárců na zvon
Občané Hrušvice a přilehlých farností přispěli na pořízení zvonu svého nového kostela celkem 908 zlotych. Sbírka sečtena 1.1.1938, Rok: 1938, Zdroj: Čajanová Ludmila, Inventární číslo: IV007700, více informací

Občané Hrušvice a přilehlých farností přispěli na pořízení zvonu svého nového kostela celkem 908 zlotych. Sbírka sečtena 1.1.1938

(více informací)

Rok: 1938
Zdroj: Čajanová Ludmila
Inventární číslo: IV007700
Související obce: Dědkovice, Dembrovka, Janovka Č., Martinovka, Novosilky (Rovno), Peredily, Ploska (Rovno), Špakov Malý, Špakov Velký, Slezské Rudoltice
Související osoby: Bačová Ludmila, Stanislav, Čajanová

Nákres stavby kostela v Hrušvici
Nákres stavby kostela v Hrušvici, Zdroj: Stanislav Sabol z archivu Anny Vyhlídalové, Inventární číslo: IV002178

Nákres stavby kostela v Hrušvici

Zdroj: Stanislav Sabol z archivu Anny Vyhlídalové
Inventární číslo: IV002178

Hrušvický kostel v zimě
Hřušvický kostel v zimě, Rok: 2000, Zdroj: Facebook- volodia.mykhalchyn, Inventární číslo: IV000385

Hřušvický kostel v zimě

Rok: 2000
Zdroj: Facebook- volodia.mykhalchyn
Inventární číslo: IV000385

Rekonstrukce Hrušvického kostela
Rekonstrukce Hrušvického kostela, Zdroj: Facebook - volodia.mykhalchyn, Inventární číslo: IV000371

Rekonstrukce Hrušvického kostela

Zdroj: Facebook - volodia.mykhalchyn
Inventární číslo: IV000371

Rekonstrukce Hrušvického kostela
Rekonstrukce Hrušvického kostela, Zdroj: Facebook - volodia.mykhalchyn, Inventární číslo: IV000372

Rekonstrukce Hrušvického kostela

Zdroj: Facebook - volodia.mykhalchyn
Inventární číslo: IV000372

Rekonstrukce Hrušvického kostela
Rekonstrukce Hrušvického kostela, Zdroj: Facebook - volodia.mykhalchyn, Inventární číslo: IV000373

Rekonstrukce Hrušvického kostela

Zdroj: Facebook - volodia.mykhalchyn
Inventární číslo: IV000373

Rekonstrukce Hrušvického kostela
Rekonstrukce Hrušvického kostela, Zdroj: Facebook - volodia.mykhalchyn, Inventární číslo: IV000375

Rekonstrukce Hrušvického kostela

Zdroj: Facebook - volodia.mykhalchyn
Inventární číslo: IV000375

Rekonstrukce Hrušvického kostela
Rekonstrukce Hrušvického kostela, Zdroj: Facebook - volodia.mykhalchyn, Inventární číslo: IV000376

Rekonstrukce Hrušvického kostela

Zdroj: Facebook - volodia.mykhalchyn
Inventární číslo: IV000376

Rekonstrukce Hrušvického kostela
Rekonstrukce Hrušvického kostela, Zdroj: Facebook - volodia.mykhalchyn, Inventární číslo: IV000377

Rekonstrukce Hrušvického kostela

Zdroj: Facebook - volodia.mykhalchyn
Inventární číslo: IV000377

Rekonstrukce Hrušvického kostela
Hrušvický kostel v zimě, Zdroj: Facebook - volodia.mykhalchyn, Inventární číslo: IV000378

Hrušvický kostel v zimě

Zdroj: Facebook - volodia.mykhalchyn
Inventární číslo: IV000378

Hrušvicky kostel -historie
Historie vystavby Hrušvického kostela, Zdroj: Facebok volodia.mykhalchyn, Inventární číslo: IV000369

Historie vystavby Hrušvického kostela

Zdroj: Facebok volodia.mykhalchyn
Inventární číslo: IV000369

Hrušvicky kostel -historie
Historie vystavby Hrušvického kostela, Zdroj: Facebok volodia.mykhalchyn, Inventární číslo: IV000370

Historie vystavby Hrušvického kostela

Zdroj: Facebok volodia.mykhalchyn
Inventární číslo: IV000370

Hrušvicky kostel -historie
Historie vystavby Hrušvického kostela, Zdroj: Facebok volodia.mykhalchyn, Inventární číslo: IV000353

Historie vystavby Hrušvického kostela

Zdroj: Facebok volodia.mykhalchyn
Inventární číslo: IV000353

Hrušvicky kostel -historie
Historie vystavby Hrušvického kostela, Zdroj: Facebok volodia.mykhalchyn, Inventární číslo: IV000354

Historie vystavby Hrušvického kostela

Zdroj: Facebok volodia.mykhalchyn
Inventární číslo: IV000354

Hrušvicky kostel -historie
Historie vystavby Hrušvického kostela, Zdroj: Facebok volodia.mykhalchyn, Inventární číslo: IV000355

Historie vystavby Hrušvického kostela

Zdroj: Facebok volodia.mykhalchyn
Inventární číslo: IV000355

Hrušvicky kostel -historie
Výstřižek z novin:Před katolickým kostelem v Hrušvici, Zdroj: Facebok volodia.mykhalchyn, Inventární číslo: IV000357

Výstřižek z novin:Před katolickým kostelem v Hrušvici

Zdroj: Facebok volodia.mykhalchyn
Inventární číslo: IV000357

Hrušvicky kostel -historie
Historie vystavby Hrušvického kostela, Zdroj: Facebok volodia.mykhalchyn, Inventární číslo: IV000358

Historie vystavby Hrušvického kostela

Zdroj: Facebok volodia.mykhalchyn
Inventární číslo: IV000358

Hrušvicky kostel -historie
Historie vystavby Hrušvického kostela, Zdroj: Facebok volodia.mykhalchyn, Inventární číslo: IV000359

Historie vystavby Hrušvického kostela

Zdroj: Facebok volodia.mykhalchyn
Inventární číslo: IV000359

Hrušvicky kostel -historie
Historie vystavby Hrušvického kostela, Zdroj: Facebok volodia.mykhalchyn, Inventární číslo: IV000360

Historie vystavby Hrušvického kostela

Zdroj: Facebok volodia.mykhalchyn
Inventární číslo: IV000360

Hrušvicky kostel -historie
Historie vystavby Hrušvického kostela, Zdroj: Facebok volodia.mykhalchyn, Inventární číslo: IV000361

Historie vystavby Hrušvického kostela

Zdroj: Facebok volodia.mykhalchyn
Inventární číslo: IV000361

Hrušvicky kostel -historie
Historie vystavby Hrušvického kostela, Zdroj: Facebok volodia.mykhalchyn, Inventární číslo: IV000362

Historie vystavby Hrušvického kostela

Zdroj: Facebok volodia.mykhalchyn
Inventární číslo: IV000362

Hrušvicky kostel -historie
Historie vystavby Hrušvického kostela, Zdroj: Facebok volodia.mykhalchyn, Inventární číslo: IV000363

Historie vystavby Hrušvického kostela

Zdroj: Facebok volodia.mykhalchyn
Inventární číslo: IV000363

Hrušvicky kostel -historie
Historie vystavby Hrušvického kostela, Zdroj: Facebok volodia.mykhalchyn, Inventární číslo: IV000364

Historie vystavby Hrušvického kostela

Zdroj: Facebok volodia.mykhalchyn
Inventární číslo: IV000364

Hrušvicky kostel -historie
Historie vystavby Hrušvického kostela, Zdroj: Facebok volodia.mykhalchyn, Inventární číslo: IV000365

Historie vystavby Hrušvického kostela

Zdroj: Facebok volodia.mykhalchyn
Inventární číslo: IV000365

Hrušvicky kostel -historie
Historie vystavby Hrušvického kostela, Zdroj: Facebok volodia.mykhalchyn, Inventární číslo: IV000366

Historie vystavby Hrušvického kostela

Zdroj: Facebok volodia.mykhalchyn
Inventární číslo: IV000366

Hrušvicky kostel -historie
Slavnost posvěcení základního kamene nového kostela v Hrušvici 6.10.1929, Zdroj: Facebok volodia.mykhalchyn, Inventární číslo: IV000367, více informací

Slavnost posvěcení základního kamene nového kostela v Hrušvici 6.10.1929

(více informací)

Zdroj: Facebok volodia.mykhalchyn
Inventární číslo: IV000367

Hrušvicky kostel -historie
Historie vystavby Hrušvického kostela, Zdroj: Facebok volodia.mykhalchyn, Inventární číslo: IV000368

Historie vystavby Hrušvického kostela

Zdroj: Facebok volodia.mykhalchyn
Inventární číslo: IV000368

Předávání obrazů u kostela v Hrušvici
Všichni se radujeme z toho, že jste zničený kostel znovu opravili a upřímně Vám za to děkujeme. Určitě se z toho dnes společně s námi radují i ti, kteří tento kostel stavěli. Na památku těchto prvních budovatelů tohoto kostela Vám dnes přinášíme několik upomínek na staré časy.  , Rok: 2000, Zdroj: L. Čajanová, Inventární číslo: IV000087, více informací

Všichni se radujeme z toho, že jste zničený kostel znovu opravili a upřímně Vám za to děkujeme. Určitě se z toho dnes společně s námi radují i ti, kteří tento kostel stavěli. Na památku těchto prvních budovatelů tohoto kostela Vám dnes přinášíme několik upomínek na staré časy.

 

(více informací)

Rok: 2000
Zdroj: L. Čajanová
Inventární číslo: IV000087
Související osoby: Bačová Ludmila, Stanislav, Čajanová

Předávání obrazů u kostela v Hrušvici
Předávání obrazů u kostela v Hrušvici, Zdroj: L. Čajanová, Inventární číslo: IV000088

Zdroj: L. Čajanová
Inventární číslo: IV000088
Související osoby: Bačová Ludmila, Stanislav, Čajanová

.pdf
Proslov u kostela v Hrušvici

Všichni se radujeme z toho, že jste zničený kostel znovu opravili a upřímně Vám za to děkujeme. Určitě se z toho dnes společně s námi radují i ti, kteří tento kostel stavěli. Na památku těchto prvních budovatelů tohoto kostela Vám dnes přinášíme několik upomínek na staré časy.

Rok: 2000
Zdroj: L. Čajanová
Inventární číslo: IV000086
Související osoby: Bačová Ludmila, Stanislav, Čajanová, Bača Stanislav, Václav

Kostel Hrušvice
HRUŠVICE, Volyňská oblasť, diecéza Luck, Ukrajina, OBYVATEĽSTVO: Volyňskí Česi, Kostol sv. Václava (1930), Z HISTÓRIE: Od r. 1884 nastal v Rusku veľký rusifikačný tlak, postupne nesmeli cudzinci vlastniť pôdu ani priemyselné podniky - pokiaľ neprestúpili na pravoslávie. Po revolúcii v r. 1905 bola znovu zavedená náboženská sloboda. Obyvatelia Hrušvicu si na vlastné náklady postavili v r. 1930 Kostol sv. Václava. Po 1. svetovej vojne a poľsko - ruskej vojne boli najskôr priradení k poľskej farnosti, diecéze Luck, v r. 1927 bola založená samostatná katolícka farnosť. "Přestup několika pravoslavných rodin ke katolictví v Hrušvici ozna čil v roce 1933 dr. Červín za vyloženou ofenzívu proti pravoslaví, která zhorší možnosti spol upráce obou církví, kostel byl zničen sovětskými vojáky při obsazení západní Ukrajiny v roce 1939, oltářní obraz sv. Václava na koni, kostelní kroniku a harmonium zachránil před zničením tamní varhaník Stanislav Bača a přivezl do Československa, obraz sv. Václava je umístěn na boční stěně kostela Hrozová, kronika je v soukromém držení a harmonium bylo věnováno rovněž kostelu (podľa: Hrozová), Zdroj: Ludmila Čajanová, Inventární číslo: IV000045

HRUŠVICE, Volyňská oblasť, diecéza Luck, Ukrajina, OBYVATEĽSTVO: Volyňskí Česi, Kostol sv. Václava (1930), Z HISTÓRIE: Od r. 1884 nastal v Rusku veľký rusifikačný tlak, postupne nesmeli cudzinci vlastniť pôdu ani priemyselné podniky - pokiaľ neprestúpili na pravoslávie. Po revolúcii v r. 1905 bola znovu zavedená náboženská sloboda. Obyvatelia Hrušvicu si na vlastné náklady postavili v r. 1930 Kostol sv. Václava. Po 1. svetovej vojne a poľsko - ruskej vojne boli najskôr priradení k poľskej farnosti, diecéze Luck, v r. 1927 bola založená samostatná katolícka farnosť. "Přestup několika pravoslavných rodin ke katolictví v Hrušvici ozna čil v roce 1933 dr. Červín za vyloženou ofenzívu proti pravoslaví, která zhorší možnosti spol upráce obou církví, kostel byl zničen sovětskými vojáky při obsazení západní Ukrajiny v roce 1939, oltářní obraz sv. Václava na koni, kostelní kroniku a harmonium zachránil před zničením tamní varhaník Stanislav Bača a přivezl do Československa, obraz sv. Václava je umístěn na boční stěně kostela Hrozová, kronika je v soukromém držení a harmonium bylo věnováno rovněž kostelu (podľa: Hrozová)

Zdroj: Ludmila Čajanová
Inventární číslo: IV000045

Průmyslové stavby a hospodářství
Strojní dílna, podnik (1)

Související archiválie

reklama
Karel Říha pochvaluje si mlátičku zhotovenou Václavem Masopustem z Hrušvic., Rok: 1912, Zdroj: Čechoslovan 07.09.1912, ročník II., č.36, Inventární číslo: IV012013

Karel Říha pochvaluje si mlátičku zhotovenou Václavem Masopustem z Hrušvic.

Rok: 1912
Zdroj: Čechoslovan 07.09.1912, ročník II., č.36
Inventární číslo: IV012013
Související osoby: Masopust Václav, Antonín

Spolky
Družstvo úvěrové, konzumní, hospodářské (2)

Související archiválie

Český záložní a spořitelní spolek
Český záložní a spořitelní spolek ustanovil se ve Zdolbunově., Rok: 1917, Zdroj: Čechoslovan 24.09.1917, ročník VII., č.39, Inventární číslo: IV012172

Český záložní a spořitelní spolek ustanovil se ve Zdolbunově.

Rok: 1917
Zdroj: Čechoslovan 24.09.1917, ročník VII., č.39
Inventární číslo: IV012172
Související obce: Antonovka, Baraševka, Buderáž, Curkov, Dědova Hora, Hlinsk, Holoveň Č., Huleč, Jezírko, Kvasilov, Lidava, Mirotín, Moščanovka, Novokrajev, Novostavce, Újezdce, Ulbárov, Urveny, Zálesí (Ostroh), Závidov, Zdolbunov

.pdf
České spořitelní a záložní sdružení v Zdolbunově

Seznam členů předsednictva výboru a revizorů účtů b.d. Letopočet neznámý

Zdroj: Národní archiv, Svaz Čechů z Volyně, Žatec, karton 105
Inventární číslo: 392
Související obce: Buderáž, Hlinsk, Huleč, Jezírko, Krajev, Kvasilov, Mirotín, Moštěnice, Újezdce, Ulbárov, Zálesí (Ostroh), Závidov, Zdolbunov
Související osoby: Khol František (Alexandr)

Hasičský spolek
Kapela a pěvecký sbor (1)

Související archiválie

Kapela z Hrušvic
Kapela z Hrušvic. Odhadem , Rok: 1860, Zdroj: archiv Jaroslav Urban, Inventární číslo: IV013026

Kapela z Hrušvic. Odhadem 

Rok: 1860
Zdroj: archiv Jaroslav Urban
Inventární číslo: IV013026
Související osoby: Rampas František, Josef, Rampas Václav, Josef

Knihovna
Skupina katolické mládeže a farnost (38)

Související archiválie

KNIHA ZLATA ŘÍMSKÉ KATOLICKÉ FARY V HRUSZWICI
KNIHA ZLATA ŘÍMSKÉ KATOLICKÉ FARY V HRUSZWICI, Rok: 1928, Inventární číslo: IV007699

Rok: 1928
Inventární číslo: IV007699

KNIHA ZLATA ŘÍMSKÉ KATOLICKÉ FARY V HRUSZWICI
KNIHA ZLATA ŘÍMSKÉ KATOLICKÉ FARY V HRUSZWICI, Rok: 1928, Inventární číslo: IV007698

Rok: 1928
Inventární číslo: IV007698

KNIHA ZLATA ŘÍMSKÉ KATOLICKÉ FARY V HRUSZWICI
KNIHA ZLATA ŘÍMSKÉ KATOLICKÉ FARY V HRUSZWICI, Rok: 1928, Inventární číslo: IV007697

Rok: 1928
Inventární číslo: IV007697

KNIHA ZLATA ŘÍMSKÉ KATOLICKÉ FARY V HRUSZWICI
KNIHA ZLATA ŘÍMSKÉ KATOLICKÉ FARY V HRUSZWICI, Rok: 1928, Inventární číslo: IV007696

Rok: 1928
Inventární číslo: IV007696

KNIHA ZLATA ŘÍMSKÉ KATOLICKÉ FARY V HRUSZWICI
KNIHA ZLATA ŘÍMSKÉ KATOLICKÉ FARY V HRUSZWICI, Rok: 1928, Inventární číslo: IV007695

Rok: 1928
Inventární číslo: IV007695

KNIHA ZLATA ŘÍMSKÉ KATOLICKÉ FARY V HRUSZWICI
KNIHA ZLATA ŘÍMSKÉ KATOLICKÉ FARY V HRUSZWICI, Rok: 1928, Inventární číslo: IV007694

Rok: 1928
Inventární číslo: IV007694

KNIHA ZLATA ŘÍMSKÉ KATOLICKÉ FARY V HRUSZWICI
KNIHA ZLATA ŘÍMSKÉ KATOLICKÉ FARY V HRUSZWICI, Rok: 1928, Inventární číslo: IV007693

Rok: 1928
Inventární číslo: IV007693

KNIHA ZLATA ŘÍMSKÉ KATOLICKÉ FARY V HRUSZWICI
KNIHA ZLATA ŘÍMSKÉ KATOLICKÉ FARY V HRUSZWICI, Rok: 1928, Inventární číslo: IV007692

Rok: 1928
Inventární číslo: IV007692

KNIHA ZLATA ŘÍMSKÉ KATOLICKÉ FARY V HRUSZWICI
KNIHA ZLATA ŘÍMSKÉ KATOLICKÉ FARY V HRUSZWICI, Rok: 1928, Inventární číslo: IV007690

Rok: 1928
Inventární číslo: IV007690

KNIHA ZLATA ŘÍMSKÉ KATOLICKÉ FARY V HRUSZWICI
KNIHA ZLATA ŘÍMSKÉ KATOLICKÉ FARY V HRUSZWICI, Rok: 1928, Inventární číslo: IV007691

Rok: 1928
Inventární číslo: IV007691

KNIHA ZLATA ŘÍMSKÉ KATOLICKÉ FARY V HRUSZWICI
KNIHA ZLATA ŘÍMSKÉ KATOLICKÉ FARY V HRUSZWICI, Rok: 1928, Inventární číslo: IV007689

Rok: 1928
Inventární číslo: IV007689

KNIHA ZLATA ŘÍMSKÉ KATOLICKÉ FARY V HRUSZWICI
KNIHA ZLATA ŘÍMSKÉ KATOLICKÉ FARY V HRUSZWICI, Rok: 1928, Inventární číslo: IV007688

Rok: 1928
Inventární číslo: IV007688

KNIHA ZLATA ŘÍMSKÉ KATOLICKÉ FARY V HRUSZWICI
KNIHA ZLATA ŘÍMSKÉ KATOLICKÉ FARY V HRUSZWICI, Rok: 1928, Inventární číslo: IV007687

Rok: 1928
Inventární číslo: IV007687

KNIHA ZLATA ŘÍMSKÉ KATOLICKÉ FARY V HRUSZWICI
KNIHA ZLATA ŘÍMSKÉ KATOLICKÉ FARY V HRUSZWICI, Rok: 1928, Inventární číslo: IV007686

Rok: 1928
Inventární číslo: IV007686

KNIHA ZLATA ŘÍMSKÉ KATOLICKÉ FARY V HRUSZWICI
KNIHA ZLATA ŘÍMSKÉ KATOLICKÉ FARY V HRUSZWICI, Rok: 1928, Inventární číslo: IV007685

Rok: 1928
Inventární číslo: IV007685

KNIHA ZLATA ŘÍMSKÉ KATOLICKÉ FARY V HRUSZWICI
KNIHA ZLATA ŘÍMSKÉ KATOLICKÉ FARY V HRUSZWICI, Rok: 1928, Inventární číslo: IV007683

Rok: 1928
Inventární číslo: IV007683

KNIHA ZLATA ŘÍMSKÉ KATOLICKÉ FARY V HRUSZWICI
KNIHA ZLATA ŘÍMSKÉ KATOLICKÉ FARY V HRUSZWICI, Rok: 1928, Inventární číslo: IV007684

Rok: 1928
Inventární číslo: IV007684

KNIHA ZLATA ŘÍMSKÉ KATOLICKÉ FARY V HRUSZWICI
KNIHA ZLATA ŘÍMSKÉ KATOLICKÉ FARY V HRUSZWICI, Rok: 1928, Inventární číslo: IV007682

Rok: 1928
Inventární číslo: IV007682

KNIHA ZLATA ŘÍMSKÉ KATOLICKÉ FARY V HRUSZWICI
KNIHA ZLATA ŘÍMSKÉ KATOLICKÉ FARY V HRUSZWICI, Rok: 1928, Zdroj: Čajanová Ludmila, Inventární číslo: IV007680

Rok: 1928
Zdroj: Čajanová Ludmila
Inventární číslo: IV007680

KNIHA ZLATA ŘÍMSKÉ KATOLICKÉ FARY V HRUSZWICI
KNIHA ZLATA ŘÍMSKÉ KATOLICKÉ FARY V HRUSZWICI, Rok: 1928, Zdroj: Čajanová Ludmila, Inventární číslo: IV007681

Rok: 1928
Zdroj: Čajanová Ludmila
Inventární číslo: IV007681

KNIHA ZLATA ŘÍMSKÉ KATOLICKÉ FARY V HRUSZWICI
KNIHA ZLATA ŘÍMSKÉ KATOLICKÉ FARY V HRUSZWICI, Rok: 1928, Zdroj: Čajanová Ludmila, Inventární číslo: IV007679

Rok: 1928
Zdroj: Čajanová Ludmila
Inventární číslo: IV007679

KNIHA ZLATA ŘÍMSKÉ KATOLICKÉ FARY V HRUSZWICI
KNIHA ZLATA ŘÍMSKÉ KATOLICKÉ FARY V HRUSZWICI, Rok: 1928, Zdroj: Čajanová Ludmila, Inventární číslo: IV007678

Rok: 1928
Zdroj: Čajanová Ludmila
Inventární číslo: IV007678

KNIHA ZLATA ŘÍMSKÉ KATOLICKÉ FARY V HRUSZWICI
KNIHA ZLATA ŘÍMSKÉ KATOLICKÉ FARY V HRUSZWICI, Rok: 1928, Zdroj: Čajanová Ludmila, Inventární číslo: IV007677

Rok: 1928
Zdroj: Čajanová Ludmila
Inventární číslo: IV007677

KNIHA ZLATA ŘÍMSKÉ KATOLICKÉ FARY V HRUSZWICI
KNIHA ZLATA ŘÍMSKÉ KATOLICKÉ FARY V HRUSZWICI, Rok: 1928, Zdroj: Čajanová Ludmila, Inventární číslo: IV007676

Rok: 1928
Zdroj: Čajanová Ludmila
Inventární číslo: IV007676

KNIHA ZLATA ŘÍMSKÉ KATOLICKÉ FARY V HRUSZWICI
KNIHA ZLATA ŘÍMSKÉ KATOLICKÉ FARY V HRUSZWICI, Rok: 1928, Zdroj: Čajanová Ludmila, Inventární číslo: IV007675

Rok: 1928
Zdroj: Čajanová Ludmila
Inventární číslo: IV007675

KNIHA ZLATA ŘÍMSKÉ KATOLICKÉ FARY V HRUSZWICI
KNIHA ZLATA ŘÍMSKÉ KATOLICKÉ FARY V HRUSZWICI, Rok: 1928, Zdroj: Čajanová Ludmila, Inventární číslo: IV007674

Rok: 1928
Zdroj: Čajanová Ludmila
Inventární číslo: IV007674

KNIHA ZLATA ŘÍMSKÉ KATOLICKÉ FARY V HRUSZWICI
KNIHA ZLATA ŘÍMSKÉ KATOLICKÉ FARY V HRUSZWICI, Rok: 1928, Zdroj: Čajanová Ludmila, Inventární číslo: IV007673

Rok: 1928
Zdroj: Čajanová Ludmila
Inventární číslo: IV007673

KNIHA ZLATA ŘÍMSKÉ KATOLICKÉ FARY V HRUSZWICI
KNIHA ZLATA ŘÍMSKÉ KATOLICKÉ FARY V HRUSZWICI, Rok: 1928, Zdroj: Čajanová Ludmila, Inventární číslo: IV007672

Rok: 1928
Zdroj: Čajanová Ludmila
Inventární číslo: IV007672

KNIHA ZLATA ŘÍMSKÉ KATOLICKÉ FARY V HRUSZWICI
KNIHA ZLATA ŘÍMSKÉ KATOLICKÉ FARY V HRUSZWICI, Rok: 1928, Zdroj: Čajanová Ludmila, Inventární číslo: IV007671

Rok: 1928
Zdroj: Čajanová Ludmila
Inventární číslo: IV007671

KNIHA ZLATA ŘÍMSKÉ KATOLICKÉ FARY V HRUSZWICI
KNIHA ZLATA ŘÍMSKÉ KATOLICKÉ FARY V HRUSZWICI, Rok: 1928, Zdroj: Čajanová Ludmila, Inventární číslo: IV007669

Rok: 1928
Zdroj: Čajanová Ludmila
Inventární číslo: IV007669

KNIHA ZLATA ŘÍMSKÉ KATOLICKÉ FARY V HRUSZWICI
KNIHA ZLATA ŘÍMSKÉ KATOLICKÉ FARY V HRUSZWICI, Rok: 1928, Zdroj: Čajanová Ludmila, Inventární číslo: IV007670

Rok: 1928
Zdroj: Čajanová Ludmila
Inventární číslo: IV007670

KNIHA ZLATA ŘÍMSKÉ KATOLICKÉ FARY V HRUSZWICI
KNIHA ZLATA ŘÍMSKÉ KATOLICKÉ FARY V HRUSZWICI, Rok: 1928, Zdroj: Čajanová Ludmila, Inventární číslo: IV007668

Rok: 1928
Zdroj: Čajanová Ludmila
Inventární číslo: IV007668

KNIHA ZLATA ŘÍMSKÉ KATOLICKÉ FARY V HRUSZWICI
KNIHA ZLATA ŘÍMSKÉ KATOLICKÉ FARY V HRUSZWICI, Rok: 1928, Zdroj: Čajanová Ludmila, Inventární číslo: IV007667

Rok: 1928
Zdroj: Čajanová Ludmila
Inventární číslo: IV007667

KNIHA ZLATA ŘÍMSKÉ KATOLICKÉ FARY V HRUSZWICI
KNIHA ZLATA ŘÍMSKÉ KATOLICKÉ FARY V HRUSZWICI, Rok: 1928, Zdroj: Čajanová Ludmila, Inventární číslo: IV007666

Rok: 1928
Zdroj: Čajanová Ludmila
Inventární číslo: IV007666

KNIHA ZLATA ŘÍMSKÉ KATOLICKÉ FARY V HRUSZWICI
KNIHA ZLATA ŘÍMSKÉ KATOLICKÉ FARY V HRUSZWICI, Rok: 1928, Zdroj: Čajanová Ludmila, Inventární číslo: IV007665

Rok: 1928
Zdroj: Čajanová Ludmila
Inventární číslo: IV007665

KNIHA ZLATA ŘÍMSKÉ KATOLICKÉ FARY V HRUSZWICI
KNIHA ZLATA ŘÍMSKÉ KATOLICKÉ FARY V HRUSZWICI, Rok: 1928, Zdroj: Čajanová Ludmila, Inventární číslo: IV007664

Rok: 1928
Zdroj: Čajanová Ludmila
Inventární číslo: IV007664

Sraz katolické mládeže před kostelem v Hrušvici 18.8.1932
Sraz katolické mládeže před kostelem v Hrušvici 18.8.1932, Rok: 1932, Zdroj: Báča Jaroslav, Inventární číslo: IV000386, více informací

(více informací)

Rok: 1932
Zdroj: Báča Jaroslav
Inventární číslo: IV000386
Související obce: Dembrovka, Martinovka
Související osoby: Bačovský Boleslav, Vladimír

Hrušvicky kostel -historie
Sraz katolické mládeže v Hrušvici před kostelem 18.8.1932, Zdroj: Facebok volodia.mykhalchyn, Inventární číslo: IV000356

Sraz katolické mládeže v Hrušvici před kostelem 18.8.1932

Zdroj: Facebok volodia.mykhalchyn
Inventární číslo: IV000356

Skupina pravoslavných věřících a farnost (1)

Související archiválie

.pdf
J. V. Červín - Pošesté mezi pravoslavnými volyňskými Čechy

Rok: 1933
Zdroj: Krajan list venovaný zaujmom československého zahraničia a otázkam vysťahovaleck
Inventární číslo: IV013325
Související obce: Dorohostaje Velké, Dubno, Hlinsk, Ivaniče, Kněhyninky, Kopče, Kvasilov, Ledochovka, Libánovka, Malín Č., Malovaná, Mirohošť, Moldava I, Moskovština, Noviny Č., Straklov Č., Teremno, Ulbárov, Volkov, Zdolbunov

Škola České matice školské (1)

Související archiválie

učitelé v Českých školách
učitelé v Českých školách na Volyni, Rok: 1917, Zdroj: Čechoslovan 17.12.1917, ročník VII., č.51, Inventární číslo: IV012221, více informací

učitelé v Českých školách na Volyni

(více informací)

Rok: 1917
Zdroj: Čechoslovan 17.12.1917, ročník VII., č.51
Inventární číslo: IV012221
Související obce: Ivanoviče Č., Krivín, Noviny Č., Okolek, Volkov, Zálesí (Ostroh), Zdolbunov
Související osoby: CÍRKVA Jan, OKROUHLICKÝ Josef

Časopis, kniha, článek
Časopis - Věrná stráž (1)

Související archiválie

Anna Dostrašilová
Anna Dostrašilová roz.Horáčková z Hrušvic. - NEZNÁME DAT.NAROZENÍ ! Zemřela v Lutchardě 11.1.1947., Rok: 1952, Zdroj: Věrná stráž 15.5.1952 str.8, Inventární číslo: IV006188

Anna Dostrašilová roz.Horáčková z Hrušvic. - NEZNÁME DAT.NAROZENÍ !

Zemřela v Lutchardě 11.1.1947.

Rok: 1952
Zdroj: Věrná stráž 15.5.1952 str.8
Inventární číslo: IV006188
Související obce: AA - Anonymni archivalie

Časopis- Čechoslovan (2)

Související archiválie

nekrolog
Nekrolog k úmrtí Alexandra (Karla) Krbce z Hrušvic na Volyni., Rok: 1912, Zdroj: Čechoslovan 03.02.1912, ročník II., č.5, Inventární číslo: IV011968

Nekrolog k úmrtí Alexandra (Karla) Krbce z Hrušvic na Volyni.

Rok: 1912
Zdroj: Čechoslovan 03.02.1912, ročník II., č.5
Inventární číslo: IV011968
Související osoby: Krbec Alexandr

Článek, Publikace (2)

Související archiválie

.pdf
J. V. Červín - Pošesté mezi pravoslavnými volyňskými Čechy

Rok: 1933
Zdroj: Krajan list venovaný zaujmom československého zahraničia a otázkam vysťahovaleck
Inventární číslo: IV013325
Související obce: Dorohostaje Velké, Dubno, Hlinsk, Ivaniče, Kněhyninky, Kopče, Kvasilov, Ledochovka, Libánovka, Malín Č., Malovaná, Mirohošť, Moldava I, Moskovština, Noviny Č., Straklov Č., Teremno, Ulbárov, Volkov, Zdolbunov

Rodinný kalendář Volyňských čechů
Rodinný kalendář Volyňských čechů, Rok: 1939, Zdroj: Jana N., Inventární číslo: IV000855

Rodinný kalendář Volyňských čechů

Rok: 1939
Zdroj: Jana N.
Inventární číslo: IV000855
Související osoby: Dražil Josef, Vladimír

Popisy obcí pamětníky
Dotazník 1951 (1)

Související archiválie

.pdf
Dotazník - Hrušvice

Dotazník obce Hrušvice obsahující základní informace o obci

(více informací)

Rok: 1945
Zdroj: Národní archiv, Svaz Čechů z Volyně, Žatec karton 79 inv. číslo 146
Inventární číslo: IV000210
Související osoby: Zahrádka Vladimír, Josef, Hlaváček Václav, Emil

Dotazník 1992 - 1993 (8)

Související archiválie

.pdf
196-anketní lístek-Libuše Tomášová-Verchovsk-Hrušvice-Pokosy

(více informací)

Rok: 1993
Zdroj: NA, fond Hofman Jiří, Ing., nezpracováno, karton 9, dotazníky k Historické mapě
Inventární číslo: IV001934
Související obce: Pokosy, Verchovsk

.pdf
206-anketní lístek-Marie Hamáčková-Omelanština-Střední Háj-Hrabina-Chomout-Dembr

(více informací)

Rok: 1993
Zdroj: NA, fond Hofman Jiří, Ing., nezpracováno, karton 9, dotazníky k Historické mapě
Inventární číslo: IV001924
Související obce: Dembrovka, Hrabina, Chomout, Martinovka, Omelanština, Střední Háj, Ulbárov

.pdf
427-anketní lístek-Věra Kotlářová-Omelánština-Serední Háj-Hrabina-Hlinsk-Semihra

(více informací)

Rok: 1993
Zdroj: NA, fond Hofman Jiří, Ing., nezpracováno, karton 9, dotazníky k Historické mapě
Inventární číslo: IV001562
Související obce: Dembrovka, Hlinsk, Hrabina, Omelanština, Ulbárov
Související osoby: Plos Miloslav, Plos Václav, Plos Václav, Josef

.pdf
168-Martinovka,Hrušvice

(více informací)

Rok: 1992
Zdroj: NA, fond Hofman Jiří, Ing., nezpracováno, karton 9, dotazníky k Historické mapě
Inventární číslo: IV001448
Související obce: Martinovka

.pdf
462-anketní lístek-Alexandr Všetečka-Jadvipol-Hrušvice-Dembrovka-Zdolbunov

(více informací)

Rok: 1993
Zdroj: NA, fond Hofman Jiří, Ing., nezpracováno, karton 9, dotazníky k Historické mapě
Inventární číslo: IV001417
Související obce: Dembrovka, Jadvipol, Zdolbunov

.pdf
564-anketní lístek-Evženie Švajanová-Ivanoviče-Černachov-Hrušvice-Plechová-Selen

Vzpomínky paní Evženie Švajnové na život na Volyni a reemigraci.

(více informací)

Rok: 1993
Zdroj: NA, fond Hofman Jiří, Ing., nezpracováno, karton 9, dotazníky k Historické mapě
Inventární číslo: IV001046
Související obce: Černachov, Ivanoviče Č., Ivanoviči, Okolek, Plechov -á, Selenčina, Skolobov
Související osoby: Borůvka Josef, Josef, Borůvková Evženie, Josef

.pdf
72-Omelanstina,Hrusvice,Ulbarov

(více informací)

Rok: 1992
Zdroj: NA, fond Hofman Jiří, Ing., nezpracováno, karton 9, dotazníky k Historické mapě
Inventární číslo: IV000668
Související obce: Omelanština, Ulbárov

.pdf
43- Michalovka,Hrušvice,Martinovka

(více informací)

Rok: 1992
Zdroj: NA, fond Hofman Jiří, Ing., nezpracováno, karton 9, dotazníky k Historické mapě
Inventární číslo: IV000630
Související obce: Martinovka, Michalovka

Kronika obce (2)

Související archiválie

První osídlenci Hrušvice
První osídlenci Hrušvice -  první zprava Václav Šťastný, nar. 1832, sedící děti Šťastných. Rok pořízení fotografie proveden odhadem k věku pana Šťastného, Rok: 1875, Zdroj: Archiv rodiny Šťastných, Inventární číslo: IV012029, více informací

První osídlenci Hrušvice -  první zprava Václav Šťastný, nar. 1832, sedící děti Šťastných. Rok pořízení fotografie proveden odhadem k věku pana Šťastného

(více informací)

Rok: 1875
Zdroj: Archiv rodiny Šťastných
Inventární číslo: IV012029
Související osoby: Šťastný Václav, Václav

.pdf
Z vypravování i zápisek Víta Pally

Popis koupě pozemků v Hrušvici od Víta Pally

(více informací)

Zdroj: Archiv rodiny Pallovy
Inventární číslo: IV006581
Související osoby: Knop Josef, Josef, Palla Vít, Karel

Mapa, plán nebo seznam obyvatel obce (3)

Související archiválie

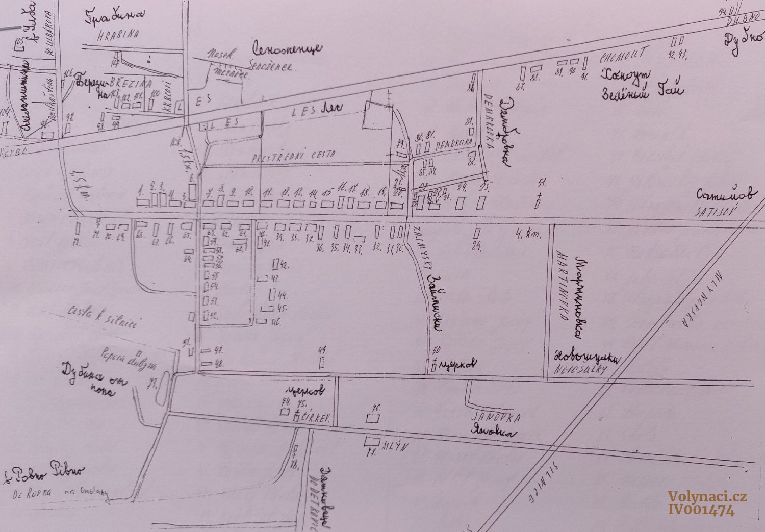
Mapa Hrušvice
Mapa Hrušvice dle Facebook: volodia.mykhalchyn, Rok: 2019, Zdroj: volodia.mykhalchyn, Inventární číslo: IV001474

Mapa Hrušvice dle Facebook: volodia.mykhalchyn

Rok: 2019
Zdroj: volodia.mykhalchyn
Inventární číslo: IV001474

.pdf
Hrušvice mapa a lide

Seznam obyvatel Hrušvice dle zdroje Facebook: volodia.mykhalchyn

Rok: 2019
Zdroj: volodia.mykhalchyn
Inventární číslo: IV001473

.pdf
vzdálenost vesnic od kostela v Hrušvici

vzdálenost vesnic od kostela v Hrušvici

Rok: 1993
Zdroj: Sabol Stanislav z archivu Jaroslava Moravce
Inventární číslo: IV000999
Související obce: Buderáž, Dorohostaje Malé, Dorohostaje Velké, Hlinsk, Huleč, Janovka Č., Martinovka, Omelanština, Špakov Malý, Špakov Velký, Zálesí (Ostroh)
Související osoby: Moravec Jaroslav, Josef

Řemeslník, živnostník, podnikatel (1)

Související archiválie

První osídlenci Hrušvice
První osídlenci Hrušvice -  první zprava Václav Šťastný, nar. 1832, sedící děti Šťastných. Rok pořízení fotografie proveden odhadem k věku pana Šťastného, Rok: 1875, Zdroj: Archiv rodiny Šťastných, Inventární číslo: IV012029, více informací

První osídlenci Hrušvice -  první zprava Václav Šťastný, nar. 1832, sedící děti Šťastných. Rok pořízení fotografie proveden odhadem k věku pana Šťastného

(více informací)

Rok: 1875
Zdroj: Archiv rodiny Šťastných
Inventární číslo: IV012029
Související osoby: Šťastný Václav, Václav

Odbojová organizace Blaník
Blaník - buňka (1)

Související archiválie

Regionální vedoucí odbojové organizace Blaník - očíslovaná
Vedení ilegální organizace Blaník, mladíci pocházeli z různých obcí. Například z Martinovky, Dembrovky, Hrušvice, Miluše a z dalších. Paní Dvořáková Marie roz. Zběrajevská jako devítiletá dělala spojku mezi Martinovkou a Dembrovkou. Správy nosila k Václavíkům na Dembrovku, nesměl jí nikdo zastavit ani s nikým mluvit. Správy měla připnuty zevnitř na šatech., Rok: 1944, Zdroj: Pěničková, Inventární číslo: IV000391, více informací

Vedení ilegální organizace Blaník, mladíci pocházeli z různých obcí. Například z Martinovky, Dembrovky, Hrušvice, Miluše a z dalších.

Paní Dvořáková Marie roz. Zběrajevská jako devítiletá dělala spojku mezi Martinovkou a Dembrovkou. Správy nosila k Václavíkům na Dembrovku, nesměl jí nikdo zastavit ani s nikým mluvit. Správy měla připnuty zevnitř na šatech.

(více informací)

Rok: 1944
Zdroj: Pěničková
Inventární číslo: IV000391
Související obce: Dembrovka, Martinovka, Miluše, Mirohošť
Související osoby: Vegricht Miloslav, Václav, Bača Stanislav, Václav, Bačovský Jaroslav, Vladimír, Bačovský Jan, Leopold, Vegricht Stanislav, Josef

Volyňští Češi v armádách
Česká družina (1)

Související archiválie

.pdf
Palla Joachim, Chomout

Propustky do města Bobrujsk, vydané Josefu Pallovi, dobrovolníku Československého střeleckého záložního praporu tamtéž

Rok: 1917
Zdroj: Národní archiv, Svaz Čechů z Volyně, Žatec, karton 105
Inventární číslo: 462
Související osoby: Palla Josef

Služba v Polské armádě (1)

Související archiválie

Pan Josef Dražil v uniformě Polské armády.
Předválečná fotografir pana Josefa Dražila v uniformě Polské armády. , Rok: 1935, Zdroj: Sbírka rodiny Dražilových a paní Jany Novákové., Inventární číslo: IV002308

Předválečná fotografir pana Josefa Dražila v uniformě Polské armády. 

Rok: 1935
Zdroj: Sbírka rodiny Dražilových a paní Jany Novákové.
Inventární číslo: IV002308
Související obce: Rovno
Související osoby: Dražil Josef, Vladimír

Volyňáci v 2. odboji-doklady a publikace (1)
Svědectví zločinů
Záchrana Židů
Zločiny komunismu

Související osoby

  • Krejčí Vladimír, Kazimír

    Zatčen v pracovní kolonii Pinduši v Medvežjegorském okrese v Karéliiza špionáž a trojkou při UNKVD Leningradské oblasti odsouzen k trestu smrti. Zastřelen 26.12.1937 v Sandarmochu. 

Zločiny nacismu (1)

Související archiválie

.pdf
Také v Hrušvici přežili svou smrt Václav Palla, *4.12.1928 Hrušvice

Také v Hrušvici přežili svou smrt Václav Palla, *4.12.1928 Hrušvice

Rok: 1994
Zdroj: Občasník Sdružení Čechů z Volyně a jejich přátel Zpravodaj číslo 5/1994 a 7/94
Inventární číslo: IV002952
Související osoby: Moravec Bohumil, Václav, Kočina Václav, Kočina Václav, Jiří, KOČINA Václav, Palla Václav, Josef, Růžena, Pavlínová

Osobní archiválie
Dům, hospodářství, usedlost, majetek (2)

Související archiválie

Rodina Jana Šťastného
Dům v Hrušvici, rodina Šťastná,rodiče Barbora a Jan  a syn Vladimír, Rok: 1947, Zdroj: Archiv Emilie Krajcerové, Inventární číslo: IV008291

Dům v Hrušvici, rodina Šťastná,rodiče Barbora a Jan  a syn Vladimír

Rok: 1947
Zdroj: Archiv Emilie Krajcerové
Inventární číslo: IV008291
Související osoby: Macková Barbora, Šťastná, Šťastný Jan, Jan, Šťastný Vladimír, Jan

reklama
Reklama z Hlasu Volyně - 16.3.1936, Rok: 1936, Zdroj: Hlas Volyně z 16.3.1936, Inventární číslo: IV005373

Reklama z Hlasu Volyně - 16.3.1936

Rok: 1936
Zdroj: Hlas Volyně z 16.3.1936
Inventární číslo: IV005373

Fotografie (zejména osob) (2)

Související archiválie

První osídlenci Hrušvice
První osídlenci Hrušvice -  první zprava Václav Šťastný, nar. 1832, sedící děti Šťastných. Rok pořízení fotografie proveden odhadem k věku pana Šťastného, Rok: 1875, Zdroj: Archiv rodiny Šťastných, Inventární číslo: IV012029, více informací

První osídlenci Hrušvice -  první zprava Václav Šťastný, nar. 1832, sedící děti Šťastných. Rok pořízení fotografie proveden odhadem k věku pana Šťastného

(více informací)

Rok: 1875
Zdroj: Archiv rodiny Šťastných
Inventární číslo: IV012029
Související osoby: Šťastný Václav, Václav

Hrušvice
Hrušvice, Rok: 2018, Zdroj: Facebook volodia.mykhalchyn, Inventární číslo: IV000352

Rok: 2018
Zdroj: Facebook volodia.mykhalchyn
Inventární číslo: IV000352

Související osoby

Osobní doklad (4)

Související archiválie

.pdf
Palla Joachim, Chomout

Propustky do města Bobrujsk, vydané Josefu Pallovi, dobrovolníku Československého střeleckého záložního praporu tamtéž

Rok: 1917
Zdroj: Národní archiv, Svaz Čechů z Volyně, Žatec, karton 105
Inventární číslo: 462
Související osoby: Palla Josef

.pdf
Svatební smlouva

Svatební smlouva Františka Pally a Anny Skalské z Hrušvic

(více informací)

Rok: 1881
Zdroj: Národní archiv, Svaz Čechů z Volyně, Žatec, karton 105
Inventární číslo: 461
Související osoby: Palla František (Alexandr), František, Skalská Anna, Antonín, Pallová

Dopis pana Josefa Dražila
Osobní dopis pana Josefa Dražila před odjezden na Volyň z Prahy.16.8., Rok: 1945, Zdroj: Sbírka rodiny Dražilových a paní Jany Novákové., Inventární číslo: IV002034

Osobní dopis pana Josefa Dražila před odjezden na Volyň z Prahy.16.8.

Rok: 1945
Zdroj: Sbírka rodiny Dražilových a paní Jany Novákové.
Inventární číslo: IV002034
Související osoby: Dražil Josef, Vladimír

.pdf
dary na koupi kostelního zvonu v Hrušvici

Seznam dárců na koupi kostelního zvonu v Hrušvici

Rok: 1938
Zdroj: Sabol Stanislav z archivu Jaroslava Moravce
Inventární číslo: IV000998
Související obce: Janovka Č., Martinovka, Novosilky (Rovno), Špakov Malý, Špakov Velký

Rodinné kroniky a rodokmeny (3)

Související archiválie

.pdf
O rodině Jiřího Hofmana

O Jiřím Hofmanovi a jeho rodině z knihy Vjačeslava Sľachového
Češi na území Ukrajiny

(více informací)

Rok: 2025
Zdroj: Vjačeslav Sľachový
Inventární číslo: IV014142
Související obce: Martinovka
Související osoby: Hofman Jiří, Vladimír

.pdf
Rodokmen rodiny Pěničkové, Vondráčkové, Uhlířové, Krejčikové, Entové a Vendolské

Rodokmen rodiny Pěničkové, Vondráčkové, Uhlířové, Krejčikové, Entové a Vendolské

Rok: 2000
Zdroj: Sabol Stanislav z archivu Miroslava Pěničky
Inventární číslo: IV002124
Související obce: Černachov, Kvasilov, Martinovka, Michalovka, Okolek, Omelanština, Peredily, Ulbárov, Vydumka (Pulyny)
Související osoby: Pěnička Antonín, Vladimír, Pěnička Bohumil, Pěnička Bohumil, Pěnička Mikuláš, Josef, Pěnička Mikuláš, Jaroslav, Pěnička Václav, Jan, Pěnička Václav, Josef, Pěnička Václav, Vladimír, Pěnička Vladimír, Josef, Pěnička Vladimír, Vladimír, Pěnička Václav, Josef, Svítek Mikuláš, Vladimír, Vendolský Jan, Vendolský Josef, Josef, Vendolský Stanislav, Vendolský Václav, Josef, Vendolský Václav, Rudolf, Vondráček Alexandr, Vondráček Vladimír, Vladimír, Ent Jaroslav, František, Ent Mikuláš, František, Ent Vladimír, František, Horyna Josef, Klígl Vladimír, Alexandr, Krejčík Vladimír, Antonín, Krejčíková Olga, Vladimír, Pěničková, KREJČÍK Václav, Krejčík Vladimír, Josef, Krejčik Josef, Krejčiková Marie, Vladimír, Krejčík Vladimír, Vladimír, Krejčík Antonín, Vladimír, Krejčík Václav, Vladimír, Krejčik Josef, Vladimír, Krejčiková Anna, Vladimír, Rampasová, Krejčíková Emilie, Vladimír, Svítková, Vendolský Josef, Vendolský Rudolf, Vendolský Bohdan, Pěnička Josef (Kitaj), Vojtěch, Pěnička Bohumil, Valčíková Marie, Pěnička Vojtěch, Pěnička Vladimír, Pěnička Josef, Josef, Pěnička Václav, Josef, Krejčik Rostislav, Vladimír, Krejčik Fedor, Vladimír, Ent Alexandr, František, Entová Marie, František, Krejčiková, Vendolský Arnošt, Rudolf, Vendolský Rudolf, Dvořáková Božena, Vendolská, Horyna Antonín, Horynová Naděžda, Pěnička Vojtěch, Jan, Salabová Františka, Josef, Pěničková, Pěnička Vojtěch, Vojtěch

Rodinné skupinové fotografie (9)

Související archiválie

Děti Šťastných
Václav Šťastný, Libuše Šťastná a Anna Šťastná z Hrušvice. Rodiče Šťastných měli přezdívku Frusovi., Zdroj: archiv rodiny Štastných, Inventární číslo: IV015647

Václav Šťastný, Libuše Šťastná a Anna Šťastná z Hrušvice. Rodiče Šťastných měli přezdívku Frusovi.

Zdroj: archiv rodiny Štastných
Inventární číslo: IV015647

Rub snímku IV004042
Rub snímku IV004042, Rok: 1905, Zdroj: archiv Aleny Brunclíkové, Inventární číslo: IV015509

Rok: 1905
Zdroj: archiv Aleny Brunclíkové
Inventární číslo: IV015509
Související osoby: Palla Jáchym, Vít

Rodina Antonína Macka
Rodina Antonína Macka, Zdroj: Archiv Jany Krupičkové, Inventární číslo: IV014119

Zdroj: Archiv Jany Krupičkové
Inventární číslo: IV014119
Související osoby: Macek Antonín, Josef, Kadlecová Anna, František, Macková, Macková Libuše, Antonín, Najman, Macková Marie, Antonín, Macková Emilie, Antonín, Macková Antonie, Antonín

Rodina
Rodina, Zdroj: Archiv Drahomíry Šťastné, Inventární číslo: IV014053

Zdroj: Archiv Drahomíry Šťastné
Inventární číslo: IV014053
Související osoby: Hamáček Miroslav, Josef, Lišková Marie, Václav, Hamáčková

Rodina Šťastných a Bačovských
Rodina Šťastných a Bačovských, Zdroj: Archiv Drahomíry Šťastné, Inventární číslo: IV014050

Zdroj: Archiv Drahomíry Šťastné
Inventární číslo: IV014050
Související osoby: Šťastný Miloslav, František (Teodor), Šťastný Vladimír, František (Teodor), Bačovský Adolf, František, Techniková Pavlína, Šťastná, Šťastná Emilie, František (Teodor), Bačovská, Macková, Šťastná Evženie, František (Teodor), Havlíčková

rodina Rampasova a Samcova
rodina Rampasova, Samcova a Šantorova. Mezi Františkem a jeho ženou Annou jsou vnoučata Saša a Feďa. Ostatní jsou z rodu Samců a Šantorů., Rok: 1903, Zdroj: archiv Jaroslav Urban, Inventární číslo: IV013037

rodina Rampasova, Samcova a Šantorova.

Mezi Františkem a jeho ženou Annou jsou vnoučata Saša a Feďa.

Ostatní jsou z rodu Samců a Šantorů.

Rok: 1903
Zdroj: archiv Jaroslav Urban
Inventární číslo: IV013037
Související obce: Dembrovka
Související osoby: Rampas Václav, Felix, Rampas František, Josef, Vrbová Anna, Josef, Rampasová, Rampas Felix, František, Hamáčková Terezie, Jan, Rampasová, Rampasová Cecílie, Felix, Rampasová Marie, Felix, Rampas František, Felix

Rodina Šťastných
Rodina Šťastných r. 1918 - děti z 1.a 2. manželství, Rok: 1918, Zdroj: Archiv Jany Krupičkové, Inventární číslo: IV008499, více informací

Rodina Šťastných r. 1918 - děti z 1.a 2. manželství

(více informací)

Rok: 1918
Zdroj: Archiv Jany Krupičkové
Inventární číslo: IV008499
Související osoby: Šťastný Miloslav, František (Teodor), Šťastný Vladimír, František (Teodor), Šteklová Marie, Václav, Techniková, Bačovský Adolf, František, Techniková Pavlína, Šťastná, Šťastný František (Teodor), Václav, Šťastná Olga, František (Teodor), Dražilová, Šťastná Emilie, František (Teodor), Bačovská, Macková, Šťastná Antonie, František (Teodor), Pallová, Šťastná Evženie, František (Teodor), Havlíčková

Havlíčkovi, Šťastní, Vondráčkovi
Havlíčkovi, Šťastní, Vondráčkovi, Rok: 1935, Zdroj: Rodinný archiv Vladimíry Horákové, Inventární číslo: IV006325

Rok: 1935
Zdroj: Rodinný archiv Vladimíry Horákové
Inventární číslo: IV006325
Související osoby: Vondráček Vladimír, Vladimír, Havlíček Josef, Alexandr, Šťastný Jan, Jan, Šťastná Marie, Vladimír, Havlíčková, Havlíček Vladimír, Josef, Šťastná Anna, Vladimír, Vondráčková, Válková Marie, Šťastná, Vondráček Vladimír, Libuše, Vondráčková, Šťastný Vladimír, Jan

Rodina Pallových
Rodina Pallových, Rok: 1905, Zdroj: Rodinný archiv Aleny Brunclíkové, Inventární číslo: IV004042

Rok: 1905
Zdroj: Rodinný archiv Aleny Brunclíkové
Inventární číslo: IV004042
Související osoby: Palla Jáchym, Vít, Palla Josef, Vít, Pallová Štěpánka, Alexandr, Pallová, Palla Jaroslav, Vít

Svatba,křtiny,výročí... (1)

Související archiválie

.pdf
Svatební smlouva

Svatební smlouva Františka Pally a Anny Skalské z Hrušvic

(více informací)

Rok: 1881
Zdroj: Národní archiv, Svaz Čechů z Volyně, Žatec, karton 105
Inventární číslo: 461
Související osoby: Palla František (Alexandr), František, Skalská Anna, Antonín, Pallová

Audio,video záznamy
Audiozáznam (4)

Související archiválie

.mp3
Zmlácen od Vlasovců - V. Zumr (PN)

Klip "Zmlácen od Vlasovců" z vyprávění pamětníka Václava Zumra natočil v Žatci dokumentarista Paměti národa Luděk Jirka.

(více informací)

Rok: 2011
Zdroj: Paměť národa
Inventární číslo: IV004218
Související osoby: Zumr Václav

.mp3
Zaminovaný les - V. Zumr (PN

Klip "Zaminovaný les" z vyprávění pamětníka Václava Zumra natočil v Žatci dokumentarista Paměti národa Luděk Jirka.

(více informací)

Rok: 2011
Zdroj: Paměť národa
Inventární číslo: IV004217
Související osoby: Zumr Václav

.mp3
Václav Zumr - Paměť národa

Natočeno v Žatci 1. 2. 2012 dokumentaritou Luďkem Jirkou.

Rok: 2012
Zdroj: Paměť národa
Inventární číslo: IV004185
Související obce: Omelanština
Související osoby: Zumr Václav

.mp3
Václav Zumr - Paměť národa

Natočeno v Žatci 1. 12. 2011 dokumentaristou Luďkem Jirkou.

Rok: 2011
Zdroj: Paměť národa
Inventární číslo: IV004184
Související obce: Omelanština
Související osoby: Zumr Václav

Rozhovory-Post Bellum © - Paměť národa (4)

Související archiválie

.mp3
Zmlácen od Vlasovců - V. Zumr (PN)

Klip "Zmlácen od Vlasovců" z vyprávění pamětníka Václava Zumra natočil v Žatci dokumentarista Paměti národa Luděk Jirka.

(více informací)

Rok: 2011
Zdroj: Paměť národa
Inventární číslo: IV004218
Související osoby: Zumr Václav

.mp3
Zaminovaný les - V. Zumr (PN

Klip "Zaminovaný les" z vyprávění pamětníka Václava Zumra natočil v Žatci dokumentarista Paměti národa Luděk Jirka.

(více informací)

Rok: 2011
Zdroj: Paměť národa
Inventární číslo: IV004217
Související osoby: Zumr Václav

.mp3
Václav Zumr - Paměť národa

Natočeno v Žatci 1. 2. 2012 dokumentaritou Luďkem Jirkou.

Rok: 2012
Zdroj: Paměť národa
Inventární číslo: IV004185
Související obce: Omelanština
Související osoby: Zumr Václav

.mp3
Václav Zumr - Paměť národa

Natočeno v Žatci 1. 12. 2011 dokumentaristou Luďkem Jirkou.

Rok: 2011
Zdroj: Paměť národa
Inventární číslo: IV004184
Související obce: Omelanština
Související osoby: Zumr Václav

Archiválie S touto obcí souvisí celkem 124 archiválií
Rodáci

Legionáři 1. sv. války

BAČEVSKÝ Rudolf, Vladimír
Balatka Miroslav (Miloslav) (* 2. 2. 1886)
Cígl Emanuel, Josef (3) (* 14. 10. 1884, † 17. 2. 1951)
FIRST Josef
KOČINA Václav (1)
KOPŘIVA Václav
Krejbich Josef (* 9. 3. 1886)
KVĚTOŇ Antonín
Mandík Prokop (* 19. 1. 1884)
Masopust Josef (* 6. 3. 1898)
NOSEK Vladimír (* 31. 12. 9999)
RAMPAS Josef, PARNAS
Rampas Václav, Felix (7) (* 14. 1. 1887, † 22. 9. 1951)
SAMEC Václav
Tvrdý Josef, Vojtěch (* 20. 5. 1881)
Veselý Josef (* 1. 1. 1880)

Příslušníci čs. jednotek za 2. sv. války

Anděl Bohumil (* 10. 3. 1912, † 29. 1. 1995)
Anděl Teofil, Anton (* 10. 3. 1912)
Anděl Vladimír, Antonín (* 28. 11. 1898, † 14. 9. 1944)
Anděl Vladimír, Vladimír (* 3. 11. 1925)
Bauer Antonín (3) (* 16. 8. 1900)
Bojan Nikola, Aleksandr (* 18. 4. 1927)
Borovský Antonín, Vladimír (* 22. 7. 1920)
Brynda Václav, Jan (6) (* 11. 12. 1905, † 6. 3. 1976)
Cinegr Josef (* 29. 10. 1921)
Cinegr Václav (* 6. 10. 1922)
Čepko Václav (* 4. 4. 1927)
Ďadiuk Vladimír (* 1. 9. 1923)
Daneliuk Jan, Platon (* 30. 6. 1927)
Dražil Josef, Vladimír (20) (* 20. 2. 1908, † 11. 9. 1981)
Drobný Josef (* 5. 5. 1908)
Drobný Josef (* 10. 5. 1910, † ??. 10. 1944)
Drobný Josef, Antonín (4) (* 23. 6. 1912, † 11. 3. 1993)
Drobný Vladimír (* 8. 6. 1909)
Dušek Vladimír (* 20. 9. 1921)
Filipčuk Pavel, Andron (* 7. 1. 1927)
Firšt Václav, Josef (* 12. 11. 1898)
Fiřt Bohumil (* 1. 5. 1906)
Fiřt Josef (2) (* 17. 1. 1898, † 12. 4. 1950)
Fiřt Vladimír (* 28. 3. 1899)
Fürst Emanuel (* 23. 3. 1902)
Havlíček Antonín (* 29. 3. 1914)
Havlíček Josef, Alexandr (3) (* 27. 7. 1910)
Horáček Alexandr, Jan (* 15. 5. 1916)
Jarmaluk Hric,Christofor (* 17. 11. 1927)
Jon Vladimír, Antonín (* 25. 2. 1925)
Juna Antonín, Josef (* 7. 5. 1898)
Klufa Václav, Václav (9) (* 30. 1. 1923, † 15. 6. 2008)
Kočina Antonín, Josef (1) (* 19. 5. 1914, † 31. 1. 1988)
Kočina Bohumil (1) (* 25. 6. 1924, † 9. -23. 9. 1944)
Kočina Emanuel (* 18. 8. 1926)
Kočina Jan (* 14. 5. 1919)
Kočina Josef, Josef (* 9. 3. 1910)
Kočina Václav (1) (* 11. 11. 1916, † 20. 11. 2000)
Kočina Václav, Jiří (1) (* 30. 1. 1895)
Kočina Vladimír, Jiří (* 23. 10. 1901)
Kočka Josef (1) (* 15. 9. 1915, † 27. 4. 1980)
Kočka Vladimír, Václav (2) (* 24. 11. 1919, † 2000)
Koloc Josef (* 9. 1. 1906, † 18. 11. 1944)
Koloc Josef (* 9. 1. 1906)
Králiček Vladimír (* 17. 4. 1926)
Kratochvíl Václav (* 1. 2. 1909)
Krejčí Afanasij (* 18. 1. 1922)
Krušina Bohumil (1) (* 27. 5. 1922, † 3. 4. 1944)
Krušina Václav, Josef (* 16. 3. 1920)
Kubáček Vladimír (* 27. 12. 1902)
Kubišta Josef, Josef (* 14. 8. 1898)
Kubišta Václav, František (* 4. 1. 1909)
Kubištová Emilie (* 20. 4. 1915)
Kulek Nikolaj, Karp (* 14. 3. 1927)
Kulik Demeter (* 9. 9. 1921)
Kurovský Stanislav, Augustin (3) (* 11. 9. 1907, † 2. 3. 2005)
Květoň Václav, Antonín (1) (* 28. 10. 1923, † 13. 10. 1944)
Květoň Václav, Vladimír (* 30. 12. 1922)
Limr Josef (* 3. 6. 1926)
Lipavský Václav, František (* 5. 5. 1905)
Lipavský Vladislav (Vladimír), František (1) (* 11. 6. 1915, † 3. 3. 1945)
Lipinský Václav, František (* 5. 4. 1906)
Liška Teofil, Václav (* 15. 6. 1920)
Liška Václav (* 1. 5. 1908)
Liška Vít, Václav (1) (* 1. 9. 1918)
Malhaus Bohumil, Josef (* 14. 1. 1914)
Malhaus Josef, Vladimír (* 29. 3. 1925, † 18. 9. 1944)
Malhaus Václav, Alexandr (* 4. 11. 1925)
Malhaus Vladimír, Josef (2) (* 1. 1. 1901, † 9. 9. -01. 11. 1944)
Malhaus Vladimír, Vladimír (* 12. 3. 1927, † 23. 9. 1944)
Malhauz Vladimír (* 12. 3. 1927, † 23. 9. 1944)
Malý Václav, František (* 28. 9. 1905)
Malý Vladimír, František (* 9. 10. 1917)
Mangold Stanislav, Rudolf (* 7. 12. 1925)
Martinek Josef, Jan (* 15. 1. 1903)
Masopust Emanuel, Václav (* 7. 9. 1910)
Masopust Vladimír, Václav (* 20. 11. 1901)
Moravec Bohumil, Václav (1) (* 15. 1. 1903, † 28. 3. 1987)
Moravec Josef (* 28. 11. 1910)
Moravec Vladimír (* 16. 5. 1916)
Nesvadba Emil (* 22. 12. 1910)
Nesvadba Mikuláš (* 13. 3. 1922)
Nosek Bohumil, Miroslav (2) (* 1. 4. 1921, † ??. 11. 1944)
Nosek Emanuel (* 29. 9. 1911)
Nosek Emanuel (* 28. 7. 1916)
Nosek Emil, Vít (* 28. 2. 1903)
Nosek Miloslav (* 1. 11. 1908)
Nosek Miloslav (Miroslav) (* 16. 10. 1908, † 16. 9. 1944)
Nosek Václav, Ivan (* 1. 1. 1923, † 26. 12. 2001)
Nosek Václav, Vít (3) (* 25. 2. 1908, † 27. 4. 1945)
Novotný Václav, Alexandr (* 3. 8. 1910)
Oberajter Václav, František (* 8. 8. 1924)
Oberajtr Antonín (* 6. 6. 1922)
Oberajtr Josef, František (* 25. 5. 1915, † ??. 10. 1944)
Oberajtr Vladimir, František (* 22. 7. 1920, † 13. 11. 1944)
Palla Josef (1) (* 18. 3. 1898)
Palla Václav (* 7. 12. 1921, † 19. 9. 1944)
Palla Vladimír, Viktor (* 24. 5. 1907)
Palla Vladimír, Vít (1) (* 25. 5. 1907, † 9. 12. 1970)
Pasecký Josef, Josef (6) (* 3. 5. 1909)
Pěnička Bohumil (5) (* 30. 11. 1910, † 7. 3. 1951)
Pěnička Bohumil (2) (* 20. 3. 1905)
Pěnička Mikuláš, Jaroslav (2) (* 6. 12. 1905)
Pěnička Václav, Jan (2) (* 5. 6. 1893)
Pěnička Václav, Josef (2) (* 11. 4. 1922)
Pěnička Václav, Josef (3) (* 16. 8. 1909, † 4. 1. 1975)
Pěnička Vladimír, Vladimír (2) (* 24. 10. 1906)
Plas Václav, Jan (* 20. 3. 1921)
Ploc Miloslav, Plos (* 26. 3. 1917)
Plos Miloslav (1) (* 23. 3. 1917)
Plos Václav (1) (* 20. 3. 1901)
Prušek Václav (* 22. 8. 1894)
Ptáček Václav, Jan (* 29. 3. 1904)
Šindelář Josef, František (* 22. 7. 1901)
Šťastný Bohumil, Josef (* 21. 8. 1925, † 5. 5. 2009)
Šťastný Josef (* 20. 10. 1913)
Šťastný Josef, Jan (* 3. 10. 1920)
Šťastný Josef, Jan (* 28. 6. 1912)
Šťastný Miloslav, František (Teodor) (8) (* 20. 7. 1913, † 23. 9. 1988)
Šťastný Václav, František (Teodor) (* 1. 6. 1917, † 11. 5. 1982)
Šťastný Václav, Josef (3) (* 13. 2. 1922, † 9. /10. 10. 1944)
Šťastný Václav, Vladimír (* 31. 1. 1924, † 16. 10. 1996)
Šťastný Václav, Vladimír (3) (* 23. 5. 1923, † podle údajů otce; 15. 10. 1944)
Šťastný Vladimír (* 4. 12. 1899, † 8. 2. 1981)
Šťastný Vladimír, František (Teodor) (8) (* 28. 11. 1898, † 1981)
Šťastný Vladimír, Josef (* 26. 5. 1923)
Tvrdý Josef (* 12. 4. 1922)
Vaclavík Vladimír (* 10. 1. 1897)
Valčík Jan, Jan (* 2. 3. 1916, † 12. 9. 1984)
Válek Josef, Josef (* 6. 1. 1907)
Válek Vladimír (* 19. 12. 1900)
Vaněk Josef (* 22. 3. 1908)
Vaněk Josef, Jan (* 22. 2. 1908)
Veselý Alexandr, Josef (* 1912)
Veselý Alexandr, Josef (* 8. 8. 1908, † 12. 10. 1944)
Veselý Josef, Josef (* 6. 2. 1926, † 13. 6. 2002)
Veselý Václav, Josef (* 27. 12. 1902)
Vík Josef (* 16. 3. 1901)
Vik Josef, Jan (* 28. 6. 1901, † 9. 9. 1944)
Vík Vladimír, Josef (* 22. 9. 1899)
Vik-Kunst Jan, Jan (* 24. 5. 1909, † 22. 9. 1972)
Zahrádka Josef (* 25. 11. 1916, † 7. 11. 1951)
Zahrádka Vladimír, Josef (1) (* 15. 11. 1918)
Zumr Josef, Jan (* 23. 4. 1890)
Zumr Václav (4) (* 27. 12. 1925, † 28. 6. 2012)
Zumr Václav, Antonín (* 22. 2. 1927)
Zumr Václav, Vladimír (* 3. 4. 1921)
Zumrová Marie (* 23. 6. 1924)

Ostatní

Andělová Libuše, Schovánková (5) (* 6. 6. 1903, † 29. 5. 1954)
Blecha Josef, Josef (6) (* 8. 10. 1885, † 24. 8. 1958)
Brindová Evženie, Procházková (* 15. 4. 1915, † 24. 4. 1986)
Donát Jan, Josef (* 25. 5. 1888, † 10. 10. 1938)
Dražil Petr, Josef (4) (* 21. 4. 1883, † 15. 1. 1962)
Dražil Vladimír, Josef (9) (* 6. 5. 1939, † 4. 3. 2019)
Dražilová Ludmila, Josef (8) (* 7. 12. 1932, † 11. 1. 2021)
Dražilová Melanie (Milada), Vladimír, Havlíčková (* 10. 4. 1911)
Dušánek Josef, Antonín (* 22. 1. 1901)
Hamáček Miroslav, Josef (3) (* 15. 11. 1908, † 24. 12. 1948)
Hamáčková Anna, Václav, Haltuchová (* 29. 3. 1884, † 17. 5. 1952)
Havlíček Vladimír, Josef (1) (* 23. 8. 1934, † 17. 6. 1980)
Havlíčková Anna, František, Masopustová (* 12. 6. 1903)
Heryšer Ondřej, Josef (* 1896, † asi 1932)
Jahodová Marie, Vincent, Lipavská (2) (* 1. 5. 1871, † 9. 5. 1975)
Janko Josef, Petr (* 16. 6. 1922, † 22. 8. 1990)
Jelínková Marie, František, Cinegrová (* 13. 8. 1889)
Kadlecová Anna, František, Macková (1) (* 10. 5. 1907)
Klufa Jan
Klufová Antonie, Václav (1) (* 12. 7. 1928)
Klufová Emílie, Jan, Vostrá (2) (* 18. 3. 1898)
Kočina Josef (1) (* 14. 9. 1885, † 14. 6. 1971)
Krbec Josef, Vladimír (* 7. 9. 1897, † 11. 6. 1942)
Krejčí Vladimír, Kazimír (* 1898, † 26. 12. 1937)
Krušina Josef (1) (* 8. 2. 1918, † 1942)
Krušina Josef (1) (* 1885, † 1943)
Křesinová Anna, Josef, Vohralíková (1) (* 22. 5. 1922)
Kuncová Anna, Kaufmanová (1) (* 22. 7. 1931, † 6. 7. 2012)
Lipavský Jaroslav, František (1) (* 15. 3. 1921, † 28. 1. 2011)
Liška/Liska Joseph, ? (8) (* 5. 10. 1886, † 31. 1. 1953)
Luzumová Olga, Josef, Pallová (* 20. 12. 1901)
Malá Libuše, Vaňková (1) (* 20. 8. 1910)
Masopust Josef, Josef (5) (* 22. 2. 1899)
Masopust Václav, Josef (* 15. 4. 1922)
Masopustová Libuše, Josef (* 5. 9. 1930)
Masopustová Olga, Josef, Koželoužková (* 16. 9. 1925)
Moravcová Marie, Václav, Baláková (* 15. 5. 1908)
Moravec Bohumil, Bohumil (* 23. 10. 1931, † 20. 12. 1988)
Moravec Josef, Bohumil (* 27. 1. 1930, † 15. 3. 1980)
Nosek Miloslav, Václav (* 20. 6. 1940, † 2004)
Nosek Václav, Emil (* 15. 11. 1898)
Nosek Vít, Václav (* 13. 3. 1933)
Palla Josef (2) (* 17. 8. 1905)
Palla Josef, Josef (* 6. 11. 1903)
Palla Josef, Vít (1) (* 15. 4. 1875)
Palla Václav, Josef (4) (* 4. 12. 1928, † říjen 1995)
Pallová Anna, Pallová (2) (* 29. 3. 1885, † 26. 2. 1950)
Pallová Anna, Pavelková (1)
Pěnička Václav (* 17. 6. 1903)
Ptáčková Libuše, Václav, Voženílková (1) (* 3. 7. 1896, † 10. 7. 1957)
Rampas Václav, Josef (* 1892)
? Růžena, Pavlínová (1) (* 5. 5. 1916)
Stryja Ondřej, Prokop (4) (* 30. 11. 1895, † 18. 1. 1944)
Syrovátková Emilie, Vendolská
Syrovátková Marie (* 27. 12. 1911, † 15. 7. 1951)
Šťastná Anna, Vladimír (* 1928)
Šťastná Evženie, František (Teodor), Havlíčková (3) (* 1915, † 1943)
Šťastná Libuše, František (Teodor), Lišková (4) (* 6. 3. 1909)
Šťastná Libuše, Vladimír (* 1925, † 1. 10. 2017)
Šťastný Bohumil (Teofil), Vladimír (* 21. 3. 1918)
Šťastný František (Teodor), Václav (2) (* 4. 4. 1870, † 1941)
Šťastný Jan, Jan (1) (* 16. 5. 1886, † 13. 8. 1972)
Šťastný Jan, Josef (* 8. 4. 1896, † 13. 3. 1964)
Šťastný Josef (1) (* 1. 1. 1881, † 3. 1. 1951)
Šťastný Vladimír, Jan (1) (* 6. 8. 1889, † 1964)
Štěchová Anna, František, Tomašovská (* 24. 12. 1892)
Tůmová Božena, Knobová (1) (* 1875, † 1960)
Vaňková Anna, František (Petr), Mentlíková (7) (* 14. 5. 1884)
Vaňková Anna, Jan, Kočková (1) (* 18. 12. 1904, † 10. 9. 1979)
Vaňková Libuše, Jan, Stránská (2) (* 1. 1. 1910, † 1944)
Vaňková Věra, Jan, Venigrová (* 27. 6. 1913, † 25. 10. 1987)
Veselý Josef, Josef (2) (* 22. 1. 1901, † 15. 3. 1950)
Viková Anna, Kadlecová (* 2. 2. 1871, † 6. 10. 1951)
Viková Marie, Pěničková (1) (* 15. 5. 1880, † 13. 5. 1959)
Vojtěch František (2) (* 3. 12. 1882, † 20. 4. 1949)
Vojtěchová Růžena, Hašlerová (* 1886)
Zumrová Marie, Antonín, Štruncová (* 2. 5. 1932, † 5. 4. 2023)

Vážení občané

Legionáři 1. sv. války

Bačovský Vladimír (* 2. 3. 1894, † 11. 7. 1976)
Hnídek Václav, Matěj (* 10. 4. 1880)
Kubín Josef, Josef (2) (* 1894, † 26. 8. 1949)
Vegricht Josef, Josef (1) (* 23. 12. 1890, † 6. 9. 1976)

Příslušníci čs. jednotek za 2. sv. války

Lér Václav (* 12. 9. 1910)

Ostatní

? Alžběta, Veselá (* 15. 3. 1875)
? Anna, Lérová (* 15. 9. 1882)
? Anna, Macková (* 1894)
? Anna, Plosová (* 29. 6. 1902)
? Anna, Zumrová (* 1860)
? Antonie, Havlíčková (* 1. 1. 1876)
? Antonie, Junová (* 1905)
Bačovský Vladimír, Ignatij (* 1. 1. 1888)
Bakovská Marie, Lérová (* 15. 7. 1915)
Bavr Antonín (1) (* 1900)
Bavr Vladimír (* 1870)
Blecha Josef, Jan (4) (* 20. 5. 1852)
Blechová Libuše, Josef, Cejnarová
? Božena, Moravcová (* 1883)
Brindová Marie, Štěchová
Donát Václav, Josef (* 1887)
Donátová Anna, Josef (* 1885)
Donátová Emilie, Josef (* 1883)
Donátová Marie, Josef (* 1881)
Dragoun Emanuel, Josef (* 1943)
Dragoun Jaroslav, Josef (* 1935)
Dragoun Josef (* 1895, † 1. 1. 1948)
Dragoun Stanislav, Josef (* 1. 1. 1930)
Dragoun Václav, Josef (* 1928, † 1. 1. 2000)
Dražil Josef, Josef (* 1880)
Dražil Karel (Vladimír), Josef (1) (* 1877, † 29. 4. 1944)
Dražilová Anna, Josef, Nosková (* 1886)
Dražilová Antonie, Josef (* 1901)
Drobná Barbora, Ciglová (* 1887)
Dučinský Vladimír, Josef (* 19. 8. 1924, † 25. 1. 2009)
Dušánek Antonín
? Emilie, Kočinová (* 1904)
Hamáček Vladimír, Miroslav (* 1932)
Hamáčková Ludmila, Miroslav (* 1935)
? Helena, Karabcová (* 4. 5. 1924)
Herbrichová Františka, Josef, Kubínová (* 1. 1. 1853)
Heryšer Josef
Horáček Metoděj (* 14. 6. 1894)
Horáček Václav (* 5. 5. 1909, † 1985)
Hudrik Miroslav (* 1. 5. 1930)
Hudrik Ondrej (* 10. 5. 1879)
Hudrik Vladimír (* 19. 7. 1931)
Hudrik Vladimír (* 3. 8. 1905)
Juna Antonín (* 1930)
Kačírková Emilie, Václav, Dražilová (7) (* 1. 11. 1879, † 2. 3. 1954)
Karabec Kazimír (* 25. 6. 1925)
Karabec Štěpán (* 1. 1. 1923)
Klufa Václav (2) (* 10. 8. 1890)
Kočina Josef (* 1899)
Krbec Vladimír, Vladimír
Krejčí Anna, Veselá (* 16. 12. 1903, † 11. 5. 1996)
Křížová Marie, Vladimír, Masopustová (1) (* 1913)
Kubín Antonín, František (* 4. 5. 1844)
Kubínová Marie, František, Jahodová (* 1857)
Květoňová Antonie, Kočinová (* 28. 10. 1919, † 5. 5. 2000)
Lér Stanislav, Václav (* 9. 12. 1934)
Lérová Antonie, Václav (* 28. 2. 1946)
Liška Jan, Václav (* 30. 1. 1864)
Liška Václav (* 16. 4. 1885, † 18. 4. 1962)
Lišková Marie, Václav, Hamáčková (3) (* 1910)
Macek Antonín, Josef (1) (* 26. 2. 1903)
Macek Václav (* 1892)
Macková Antonie, Antonín (1) (* 1936)
Macková Barbora, Šťastná (1) (* 9. 6. 1888)
Macková Emilie, Antonín (1) (* 1932)
Macková Libuše, Antonín, Najman (1) (* 1. 10. 1929, † 11. 8. 2019)
Macková Marie, Antonín (1) (* 1930)
Macková Marie, Václav (* 1922)
? Marie, Macková (* 1868)
Masopust Václav (* 23. 2. 1908)
Matěcha Vladimír, Josef (* 1872)
Moravcová Anna, Václav, Šťastná (2) (* 14. 9. 1900, † 24. 7. 1984)
Moravcová Antonie, Plosová (* 9. 8. 1914)
Moravcová Božena, Kočinová (* 1. 8. 1900)
Moravcová Marie, Pallová (* 18. 7. 1881)
Moravcová Marie, Zumrová (* 17. 3. 1904)
Moravec Jan (* 16. 5. 1886)
Moravec Václav, Vladimír (* 1930)
Moravec Vladimír (* 1889)
Nesvadbová Antonie, Masopustová (* 1878)
Oberajtr Bohumil, Josef (* 25. 5. 1943)
Oberajtr Jaroslav (* 15. 3. 1941)
Oberajtr Stanislav (* 5. 3. 1935)
Oberajtr Václav (* 10. 9. 1945)
Oberajtrová Antonie, Josef (* 15. 3. 1941)
Oberajtrová Pavlína (* 15. 3. 1939)
? Olga, Lišková (* 6. 5. 1885, † 7. 3. 1966)
Pajerová Olga, ?, Klufová (1) (* 6. 9. 1887)
Palla Vít, Karel (1) (* 1. 1. 1841, † 1888)
Pěnička Vojtěch, Jan (2) (* 6. 7. 1838, † 23. 3. 1916)
Pěničková Albina, Josef, Horáčková (* 10. 1. 1912, † 1990)
Pěničková Ludmila, Havlíčková
Plos Josef (* 24. 3. 1896)
Plos Miroslav (* 8. 5. 1917)
Poleštěnková Marie, Zumrová (* 1906)
Rošlapilová (Roštlapilová) Marie, Antonín, Štajnerová (2) (* 22. 11. 1900, † 15. 3. 1958)
Říhová Libuše, Moravcová (* 6. 4. 1903, † 16. 3. 1985)
Samcová Marie, Václav, Pěničková (2) (* 1919)
Slabá Marie, Pěničková (* 20. 3. 1920, † 15. 10. 1991)
Stryjová Zuzana, Dušánková
Svoboda Václav, Václav (* 1869)
Syrovátková Libuše, Nosková (* 28. 6. 1914)
Štajner Josef, Josef (* 5. 8. 1926, † 27. 12. 1992)
Štajner Josef, Josef (2) (* 22. 11. 1898, † 27. 7. 1961)
Štajnerová Anna, Josef, Dušková (1) (* 4. 2. 1928, † 28. 12. 2010. )
Štajnerová Marie, Josef, Luzumová (* 20. 12. 1929, † 27. 8. 2016)
Šťastná Barbora, Heryšerová
Šťastná Emilie, Zumrová (* 24. 10. 1904)
Šťastná Marie, Vladimír, Havlíčková (3) (* 19. 8. 1912)
Šťastný František, Jan (* 1. 6. 1881)
Šťastný Josef, Jan (3) (* 28. 11. 1912, † 20. 4. 1991)
Šťastný Vladimír, Jan (1) (* 21. 8. 1930)
Štěcha František
Šteklová Marie, Václav, Techniková (1) (* 1. 1. 1872)
Šumová Marie, Moravcová (* 15. 6. 1873, † 19. 5. 1960)
Truksová Anna, Alexandr, Bavrová (1) (* 1908, † 1999)
Vaněk Jan, František (Petr) (* 13. 5. 1876, † 1946)
Vaňková Emílie, Jan, Oberajtrová (* 17. 11. 1917, † září 1999)
Varhaníková Marie, Masopustová (* 13. 11. 1913)
Vejchodová Emilie, Zumrová (* 10. 8. 1898)
Veselá Věra, Oberajtrová (* 25. 5. 1915)
Veselý Josef (* 1878)
Veselý Miloslav, Václav (* 1933)
Veselý Václav, Josef (* 20. 2. 1902)
Vik Vladislav (2) (* 11. 11. 1891, † 2. 9. 1976)
Viková Emilie, Samcová, Florencová (* 2. 6. 1920)
Viková Eugenie, Ladislav, Šťastná (2) (* 10. 6. 1917, † 20. 1. 2006)
Zahrádková Antonie, Veselá (* 20. 6. 1909)
Zumr Antonín, Antonín (* 1930)
Zumr Josef, Antonín (* 1928)
Zumr Miloslav (* 14. 10. 1904)
Zumr Václav (* 8. 3. 1901)
Zumr Vladimír (* 14. 4. 1895)

Místo repatriace

Ostatní

Vaněk Václav, Jan (5) (* 20. 4. 1911, † 19. 6. 1982)

Místo usídlení

Legionáři 1. sv. války

RAMPAS Vladimír

Ostatní

Albl Jakub, Martin (* 1833)
Anna, Strnad (* 1869)
Aulický Marie, Josef, Rampas
Báča Jan, Jakub
Báča Václav, Antonín (2) (* 1838)
Balatka Petr, Petr
Bauer Alois, František (* 9. 6. 1870)
Bauer Antonín, František (* 30. 5. 1872)
Belbl Václav, Jan (* 1825)
Blechová Antonie, Josef (1) (* 10. 9. 1880)
Brabencová Anna, Anton, Knopová
Brendl Anna, Václav, Oupic
Brinda Barbora, Tomáš, Brinda (* 1848)
Brinda Tomáš, František (* 1818)
Brinda Tomáš, Tomáš
Brinda Václav, Jan (* 1843)
Brož Jan, Jan
Brynda Tomáš, Tomáš (* 1854)
Buchal František, Josef
Cígl Josef, Josef (* 6. 10. 1842)
Cíglová Antonína, Josef, Havlíčková (* 23. 1. 1845)
Cíglová Marie (Mariana), Josef, Moravcová (* 23. 10. 1826)
Cihlářová Kateřina, Josef, Šťastná (* 1832)
Cmunt Ignác, Josef (1) (* 27. 7. 1834)
Cmunt Josef, Ignác (1) (* 25. 8. 1856)
Cupal Jan, Jan
Čech Anna, Josef, Verner
Donát Jan, Václav (* 1856)
Donátová Františka, Josef, Svojanovská
Dražil Josef, Tomáš (* 10. 10. 1850)
Dražil Karel, Tomáš (* 17. 1. 1862)
Dražil Tomáš, Jan
Dražilová Marie, Tomáš, Šťastná (2) (* 24. 12. 1854)
Dušánek Josef, Anton (1) (* 1860)
Dvořák Josef, Josef (* 12. 3. 1827)
First Franc, Anton
Fukárková Barbora, Josef, Rampasová (* 1836)
Hamáček František, Josef (* 15. 12. 1856, † 15. 6. 1932)
Havlíček Jan, Josef (* 10. 6. 1846)
Havlíčková Antonie, Jan, Pallová (* 1868)
Hnízdil Josef, Josef (* 1829)
Hnízdilová Františka, Josef, Brožová (* 1859)
Hnízdilová Pavlína, Josef, Matěchová (* 1839)
Honc Štěpán, syn Anny
Hořínek Johana, Josef, Vorba
Hořínek Marie, Josef, Materna (* 1841)
Hořínková Veronika, Josef, Belblová (* 1840)
Hrdličková Kateřina, Matěj, Vaňková (* 24. 11. 1840)
Hromádka Anna, Franc, Klíma (* 1830)
Chalupný Barbora, Matěj, Květoň
Chocenský Anna, Jan, Kříž
Jahoda Vincent, Vincent (* 24. 5. 1857)
Janků Marie, Jan, Zumr
Jenč Václav, Václav
Jeřábková Barbora, Josef, Veselá (* 1836)
Kadlec František (1) (* 1. 7. 1867, † 6. 2. 1944)
Kadlec Karel, Václav (* 1839)
Kasíková Barbora, Matěj, Řeřichová (* 1. 1. 1858)
? Kateřina, Svatušková (* 1. 1. 1845)
Klasová Anna, Matěj, Luzumová
Klenovec Josefa, Marie, Ptáček (* 1831)
Klíma Jan, František (* 1831)
Klímová Marie, Jan, Sládečková
Knop Josef, Josef (1)
Knopová Anna, Prokop, Honcová (* 1. 1. 9999)
Kočina Franc, Josef (* 1839)
Kočinová Marie, Franc, Sládečková (* 1864)
Kočka Ondřej, Jan (* 22. 6. 1820)
Kočková Anna, Ondřej, Nesvadbová (* 13. 2. 1863)
Kopecký Marie, Matěj, Mandík
Kopp Pavlína, Josef, Zahrádka
Kovářová Kateřina, Jan, Alblová (* 1837)
Král Václav, Terezie
Králová Anna, Jan, Kočková (* 2. 5. 1831)
Krátký Josef, Franc
Krejčí Emanuela, Albert, Cíglová (* 1844)
Krejčí Kazimír, Jan (* 1863)
Krejčí Marie, Josef, Pěničková
Krušina Anna, Jan, Dušánek (* 1858)
Krušinová Viktorie, Cyril, Dvořáková (* 1836)
Kříž Josef, Václav (* 1862, † 2. 3. 1927)
Kříž Václav, Václav
Kubáček Eva, Jiří, Cupal
Kunst Anna, Jan, Zahrádka
Květoň Jan, Josefa
Laiblová Kateřina, Václav, Blechová (4) (* 16. 3. 1858)
Lajbl Josefína, Václav, Kadlec (* 1840)
Listíková Marie, Vojtěch, Vegrichtová (* 4. 4. 1865)
Liška Václav, Tomáš
Lišková Barbora, Václav, Krátká (* 1. 1. 9999)
Lukšová Marie, Josef, Dražilová
Luzum Jan, Marie
Luzum Marie, Jan, Brynda (* 1855)
Luzum Matěj, Jan (* 20. 2. 1857)
Luzumová Marie, Jan, Brindová
Mandík Josef, Josef
Marek Školastika, Augustin, Hnízdil (* 1827)
Masopust Adolf (Alexandr), Antonín (1) (* 17. 6. 1880, † asi 1935)
Masopust Antonín, Václav (* 3. 9. 1841)
Masopust František (Vladimír), Antonín (* 24. 6. 1868)
Masopust Josef, Antonín (* 23. 6. 1875)
Masopust Václav, Antonín (1) (* 9. 11. 1866)
Masopustová Anna, Antonín (* 16. 6. 1873)
Matěcha František, Josef (* 1858)
Matěcha Josef, Karel (* 1821)
Matěcha Vít, Josef (* 1868)
Matěchová Pavlína, Josef, Nosková (* 1854)
Materna Franc, Franc (* 1838)
Mejvald Rozálie, Jan, Otmar
Melnická Veronika, Josef, Masopustová (* 2. 3. 1842)
Michálek Petronella, Franc, Ptáček
Moravcová Františka, Tomáš, Vostresová (* 1866)
Moravec Františka, Jan, Válek
Moravec Jan, Josef
Moravec Josef, Josef (* 23. 7. 1832)
Moravec Tomáš, Jan
Moravec Václav, František (* 1874)
Moravec Václav, Josef
Nerád Antonie, Jan, First
Nesvadba Josef, Augustin (* 18. 3. 1864, † 15. 6. 1944)
Nosek Adam, Adam (* 1824)
Nosek Vít, Adam (* 1853)
Nosková Barbora, Adam, Moravcová
Otmar Franc, Franc
Oupic Jan, Jan
Oupicová Anna, Jan, Luzumová (* 6. 11. 1853)
Oupicová Barbora, Jan, Hamáčková (* 18. 5. 1860)
Oupicová Josefa, Jan, Cmuntová (1) (* 26. 5. 1864)
Palla Vít, František (* 19. 1. 1862)
Pallová Antonie, Zahrádková (* 1. 1. 1889)
Pallová Josefa, Karel, Nosková (* 1829)
Pěnička Vojtěch, Vojtěch (1) (* 1866)
Pleská Anna, Václav, Roštlapilová
Pospíšilová Marie, Jan, Kočinová (* 1840)
Procházka František, Antonín (* 1861)
Ptáček Franc, Vojtěch (* 1844)
Ptáček Matěj, Antonín (* 1816)
Rambousek Václav, Josef
Rampas František, Josef (3) (* 8. 5. 1830)
Rampas Josef-Václav, Václav (* 24. 4. 1857)
Rampas Václav, Josef (2) (* 28. 1. 1825)
Rampasová Alžběta, František, Samcová (* 5. 10. 1861)
Rošlapil Antonín, Jan (* 26. 4. 1869, † 5. 6. 1918)
Roštlapil Jan, Antonín
Růžička Jan, Anton
Řeřicha Josef, Matěj (* 4. 2. 1850)
Řeřichová Barbora, Josef, Veselá (* 4. 6. 1875)
Salabová Františka, Josef, Pěničková (1) (* 23. 1. 1846, † 14. 9. 1901)
Samec Josef
Skořepa František, Václav
Sládeček Josef, Jan
Sládeček Václav, Jan (* 1849)
Strnad Josef, Jan (* 1865)
Svatuška František (Vladimír), Václav (* 5. 12. 1871)
Svatuška Václav, Václav (* 1840)
Svobodová Johana, Antonín, Báčová (1)
Svojanovský František, Josef
Syrovátko Anna, Franc, Moravec
Šedajová Anna, Jan, Moravcová
Šedajová Johana, Moravcová, Matěchová (* 1868)
Šibalová Marie, Josef, Cmuntová (1) (* 21. 8. 1837)
Šimanová Karolína, Vojtěch, Lišková (* 1. 1. 9999)
Špačková Františka, František, Skořepová
Šťastná Anna, Václav, Balatková (* 1. 1. 9999)
Šťastná Barbora, Václav, Dražilová (* 1. 6. 1857)
Šťastný Jan, Jan (3) (* 16. 5. 1857)
Šťastný Jan, Jan (* 1823)
Šťastný Josef, Jan (* 27. 5. 1855)
Šťastný Václav, Jan (* 19. 9. 1836)
Šťastný Václav, Václav (1) (* 4. 4. 1832)
Štuboch Marie, Josef, Kříž
Tatounová Veronika, Antonín, Rambousková
Technik Vojtěch, František (* 1826)
Tesař Klára, Tomáš, Král
Tvrdý Vojtěch, Martin (* 1850)
Vacek Marie, Jan, Buchal
Válek Johana, Josef, Jenč
Válek Josef, Josef
Válková Antonína, Josef, Tvrdá (* 1861)
Vaněk Barbora, Antonín, Brinda (* 1827)
Vašuta Jiří, Pavel (* 1857)
Vegricht Karel, Josef (* 30. 4. 1864)
Vegrichtová Anna, Josef, Kazdová (13) (* 22. 10. 1872, † 1945)
Verner Václav, Josef
Veselá Barbora, Václav, Vašutová (* 16. 1. 1861)
Veselý Václav, Josef (* 1. 1. 1836)
Viková Kristína, Jan, Donátová (* 1857)
Vorba Václav, Anna
Vostres Franc, Franc (* 1859)
Vrbová Anna, Josef, Rampasová (1) (* 1832)
Všetečka Anna, Jan, Růžička
Zahrádka Antonie, Matěj, Moravec (* 1877)
Zahrádka Františka, Matěj, Procházka (* 1866)
Zahrádka Josef, Matěj (* 1886)
Zahrádka Marie, Matěj, Bauer (* 1874)
Zahrádka Matěj, Václav (* 1840)
Zahrádka Vladimír, Matěj (* 1889)
Zahrádková Pavlína, Matěj, Cíglová (* 1883)
Zdobinská Barbora, Josef, Šťastná (* 1834)
Zdobinská Marie, Matěj, Šťastná (* 1829)
Zumr Jan, Jan